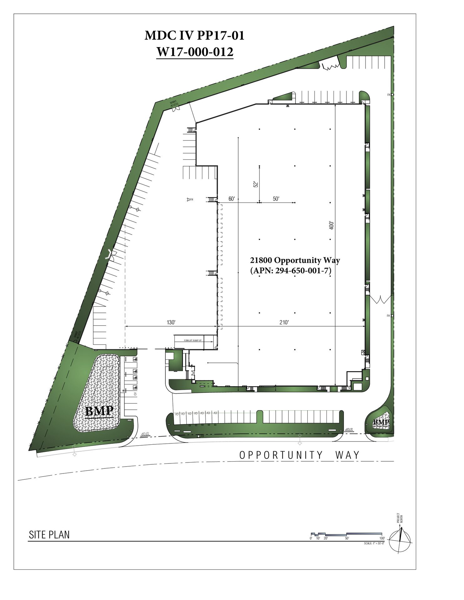
Meridian Business Center IVRiverside, CA (March Joint Powers Authority)
Speculative Class A Industrial Development, located at 21800 Opportunity Way, Riverside, CA.Leased to a corporate user in 2019, and subsequently sold to a private investor in 2020.